留言板

尊敬的读者、作者、审稿人, 关于本刊的投稿、审稿、编辑和出版的任何问题, 您可以本页添加留言。我们将尽快给您答复。谢谢您的支持!

姓名
邮箱
手机号码
标题
留言内容
验证码

离焦状态对激光清洗CFRP表面涂层的影响及机制

李麟 张浩 李道鑫 赵磊 杨永佳 赵万利 王毕艺 蒋勇

李麟, 张浩, 李道鑫, 赵磊, 杨永佳, 赵万利, 王毕艺, 蒋勇. 离焦状态对激光清洗CFRP表面涂层的影响及机制[J]. 中国光学(中英文). doi: 10.37188/CO.2026-0007
引用本文: 李麟, 张浩, 李道鑫, 赵磊, 杨永佳, 赵万利, 王毕艺, 蒋勇. 离焦状态对激光清洗CFRP表面涂层的影响及机制[J]. 中国光学(中英文). doi: 10.37188/CO.2026-0007
LI Lin, ZHANG Hao, LI Dao-xin, ZHAO Lei, YANG Yong-jia, ZHAO Wan-li, WANG Bi-yi, JIANG Yong. Influence and mechanism of defocused state on laser cleaning of surface painting on CFRP[J]. Chinese Optics. doi: 10.37188/CO.2026-0007
Citation: LI Lin, ZHANG Hao, LI Dao-xin, ZHAO Lei, YANG Yong-jia, ZHAO Wan-li, WANG Bi-yi, JIANG Yong. Influence and mechanism of defocused state on laser cleaning of surface painting on CFRP[J]. Chinese Optics. doi: 10.37188/CO.2026-0007

离焦状态对激光清洗CFRP表面涂层的影响及机制

cstr: 32171.14.CO.2026-0007
基金项目: 国家自然科学基金(No. 12372212,No. 11972313);电磁空间安全全国重点实验室基金(No. 2022JCJQLB055007)
详细信息
    作者简介:

    王毕艺(1983—),男,湖南湘潭人,硕士,高级工程师,2008年于电子科技大学获得硕士学位,主要从事强激光与光电材料作用效应理论与实验研究。E-mail: wangbiyi530@163.com

    蒋  勇(1982—),男,四川仁寿人,博士,教授,博士生导师,2012年于电子科技大学获得博士学位,主要从事强激光与物质相互作用的理论与实验方面的研究工作。E-mail:y_jiang@swust.edu.cn

  • 中图分类号: TN249

Influence and mechanism of defocused state on laser cleaning of surface painting on CFRP

Funds: Supported by National Natural Science Foundation of China (No. 12372212, No. 11972313), Opening Funding of National Key Laboratory of Electromagnetic Space Security (No. 2022JCJQLB055007)
More Information
  • 摘要:

    碳纤维增强树脂基复合材料(CFRP)在实际使用中表面常覆盖涂层。为实现CFRP表面涂层的无损去除,提高CFRP回收利用率。本文利用红外高重频脉冲激光器在不同离焦距离下对CFRP表面涂层的清洗效果和机制进行研究。首先,在离焦距离为40 mm时,调控功率和扫描速度对CFRP表面涂层进行清洗,并观察清洗效果,得到优化后的工艺参数。在此基础上改变离焦距离再对涂层进行处理。最后,对清洗后样品进行表面形貌、元素成分以及接触角测试分析,得到不同离焦距离下的清洗效果、接触角变化规律和清洗工艺。结果表明,随着离焦距离的增大,清洗过程由气化向热积累效应转化,适当的热量积累有助于涂层和树脂的完全去除。当功率、扫描速度和离焦距离分别为25 W、720 mm/s和40 mm时,可以在不损伤碳纤维性能且能有效改善基材表面润湿性的情况下完全去除涂层。

     

  • 图 1  (a) CFRP平纹编织结构示意图; (b)光学显微镜下样品的横截面形貌图; (c)横截面示意图; (d)喷漆前样品图像; (e)喷漆后样品图像

    Figure 1.  (a) Schematic diagram of the plain weave structure of CFRP; (b) cross-sectional morphology of the sample under an optical microscope; (c) schematic diagram of the cross-section; (d) sample image before painting; (e) sample image after painting

    图 2  激光清洗装置示意图

    Figure 2.  Schematic diagram of the laser cleaning device

    图 3  激光清洗扫描路径示意图

    Figure 3.  Schematic diagram of the laser cleaning scanning path

    图 4  负离焦(a)、零离焦(b)、正离焦(c)及光斑直径与离焦距离关系(d)示意图

    Figure 4.  Schematic diagrams of (a) negative defocus; (b) zero defocus; (c) positive defocus; and (d) the relationship between spot diameter and defocus distance

    图 5  不同功率清洗后CFRP表面的显微形貌。(a) 20 W;(b) 25 W;(c) 30 W;(d) 35 W

    Figure 5.  Microscopic morphology of CFRP surface after cleaning with different powers. (a) 20 W; (b) 25 W; (c) 30 W; (d) 35 W

    图 6  不同扫描速度清洗后CFRP表面的显微形貌。(a) 600 mm/s;(b) 720 mm/s;(c) 840 mm/s;(d) 960 mm/s

    Figure 6.  Microscopic morphology of CFRP surface after cleaning with different scanning speeds. (a) 600 mm/s; (b) 720 mm/s; (c) 840 mm/s; (d) 960 mm/s

    图 7  不同离焦距离下清洗后CFRP表面的显微形貌。(a) 0 mm;(b) 20 mm;(c) 40 mm;(d) 60 mm;(e) 80 mm;(f) 100 mm

    Figure 7.  Microscopic morphology of CFRP surface after cleaning under different defocus distances. (a) 0 mm; (b) 20 mm; (c) 40 mm; (d) 60 mm; (e) 80 mm; (f) 100 mm

    图 8  图7(a)中方框所示局部区域的放大视图

    Figure 8.  Magnified view of the local area indicated by the square frame in Fig. 7(a)

    图 9  清洗后试样表面的SEM形貌(离焦距离: 0~40 mm)。(a)和(b) 0 mm;(c)和(d) 20 mm;(e)和(f) 40 mm。第一和第二行分别为0°和90°方向纤维

    Figure 9.  SEM morphology of the cleaned sample surface (Defocus distance: 0−40 mm). (a) and (b) 0 mm; (c) and (d) 20 mm; (e) and (f) 40 mm. The first and second rows are fibers in the 0° and 90° directions, respectively

    图 10  清洗后试样表面的SEM形貌(离焦距离: 60~100 mm)。(a)和(b) 60 mm; (c)和(d) 80 mm; (e)和(f) 100 mm。第一和第二行分别为0°和90°方向纤维

    Figure 10.  SEM morphology of the cleaned sample surface (Defocus distance: 60-100 mm). (a) and (b) 60 mm; (c) and (d) 80 mm; (e) and (f) 100 mm. The first and second rows are fibers in the 0° and 90° directions, respectively

    图 11  主要清洗机制随离焦距离的变化

    Figure 11.  Main cleaning mechanism varying with defocus distance

    图 12  (a)涂层,(b)树脂,及(c)碳纤维的EDS能谱图

    Figure 12.  EDS spectra of (a) paint,(b) resin,and (c) carbon fibers

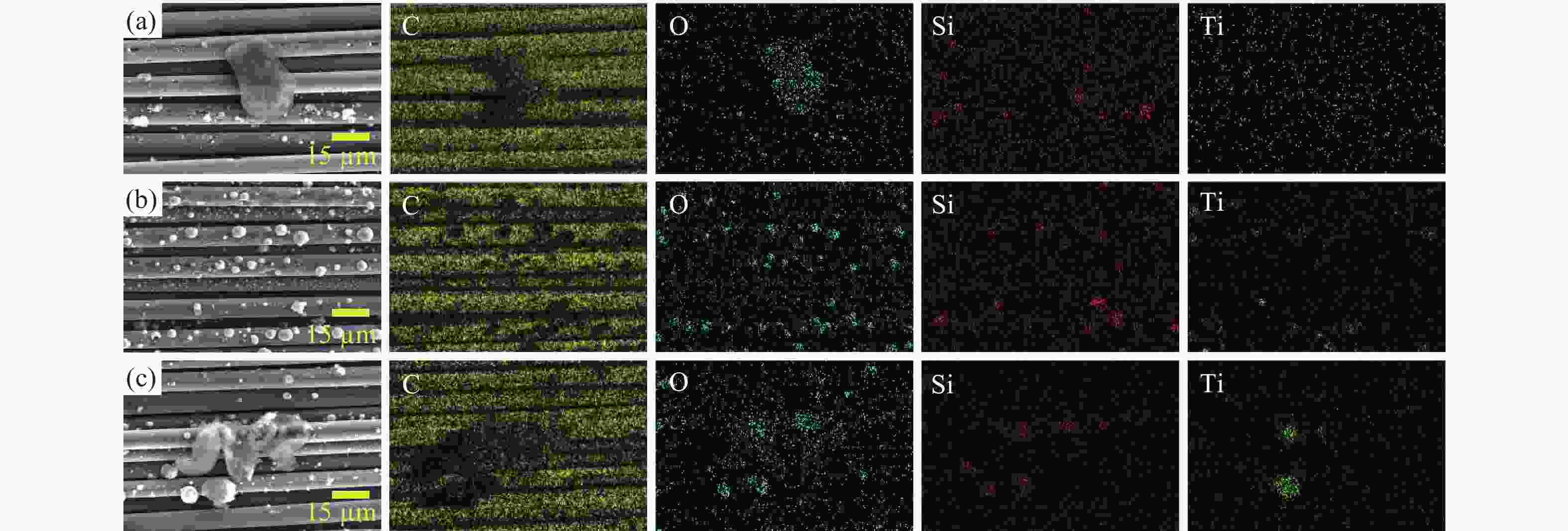
    图 13  清洗后试样表面元素分布(离焦距离: 60~100 mm)。(a) 60 mm; (b) 80 mm; (c) 100 mm

    Figure 13.  Element distribution on the surface of the cleaned sample (Defocus distance: 60-100 mm). (a) 60 mm; (b) 80 mm; (c) 100 mm

    图 14  离焦距离为0 mm(a)和80 mm(b)时清洗后试样表面的SEM形貌及残留物元素组成

    Figure 14.  SEM morphology and residual element composition of the cleaned sample surface at defocus distances of 0 mm (a) and 80 mm (b)

    图 15  不同离焦距离清洗后试样表面元素变化趋势。(a) C和O元素; (b) Si和Ti元素

    Figure 15.  Variation trends of elements on the surface of the cleaned sample under different defocus distances. (a) C and O elements; (b) Si and Ti elements

    图 16  不同离焦距离清洗后试样表面的接触角。(a)未清洗; (b) 0 mm; (c) 20 mm; (d) 40 mm; (e) 60 mm; (f) 80 mm; (g) 100 mm; (h) 接触角的变化趋势

    Figure 16.  Contact angle of the cleaned sample surface under different defocus distances. (a) Uncleaned; (b) 0 mm; (c) 20 mm; (d) 40 mm; (e) 60 mm; (f) 80 mm; (g) 100 mm; (h) variation trend of contact angle

    表  1  激光清洗工艺参数

    Table  1.   Process parameters for laser cleaning

    Characteristics Symbols Values Units
    Focal length λ 500 mm
    Focal spot diameter D0 30 µm
    Input laser beam diameter d0 2.155 mm
    Pulse width τ 200 ns
    Pulse frequency f 1000 kHz
    Scanning track interval h 0.05 mm
    Cleaning times N 1 -
    Power P 20-35, step 5 W
    Scanning speed v 600-960, step 120 mm/s
    Defocus distance L 0-100, step 20 mm
    Defocus spot diameter D 30-455,step 85 µm
    下载: 导出CSV

    表  2  涂层、树脂和碳纤维的元素含量(at%)

    Table  2.   Elemental content of the paint, resin, and carbon fibers (at%)

    MaterialsCOSiTi
    Paint79.016.30.34.4
    Epoxy resin86.813.00.20.0
    Carbon fiber99.90.00.10.0
    下载: 导出CSV

    表  3  不同离焦距离清洗后试样表面的主要成分(at%)

    Table  3.   Prominent constituents on the sample surface after cleaning at different defocus distances (at%)

    Defocus distanceCOSiTi
    0 mm83.915.60.30.2
    20 mm98.01.80.00.1
    40 mm99.90.00.10.0
    60 mm92.64.52.70.2
    80 mm87.311.90.60.2
    100 mm81.117.70.90.3
    下载: 导出CSV
  • [1] GU J Y, SU X, JIN Y, et al. Research progress and prospects of laser cleaning for CFRP: a review[J]. Composites Part A: Applied Science and Manufacturing, 2024, 185: 108349. doi: 10.1016/j.compositesa.2024.108349
    [2] 顾军义, 李文琴, 苏轩, 等. 碳纤维复合材料飞机蒙皮表面漆层激光清洗工艺研究[J]. 中国激光, 2024, 51(12): 1202201. doi: 10.3788/CJL230927

    GU J Y, LI W Q, SU X, et al. Research on laser cleaning process of paint layer on carbon fiber composite aircraft skin[J]. Chinese Journal of Lasers, 2024, 51(12): 1202201. (in Chinese). doi: 10.3788/CJL230927
    [3] VIJAYAN D S, SIVASURIYAN A, DEVARAJAN P, et al. Carbon fibre-reinforced polymer (CFRP) composites in civil engineering application—a comprehensive review[J]. Buildings, 2023, 13(6): 1509. doi: 10.3390/buildings13061509
    [4] LIU S J, LI F, ZUO P, et al. Advancements in ultrafast laser processing of carbon fiber reinforced plastics: mechanism, precision drilling, surface modification, and emerging applications[J]. Optics & Laser Technology, 2025, 192: 113902. doi: 10.1016/j.optlastec.2025.113902
    [5] YANG H, LIU H X, GAO R X, et al. Numerical simulation of paint stripping on CFRP by pulsed laser[J]. Optics & Laser Technology, 2022, 145: 107450. doi: 10.1016/j.optlastec.2021.107450
    [6] SMITH R P, QURESHI Z, SCAIFE R J, et al. Limitations of processing carbon fibre reinforced plastic/polymer material using automated fibre placement technology[J]. Journal of Reinforced Plastics and Composites, 2016, 35(21): 1527-1542. doi: 10.1177/0731684416659544
    [7] WANG W, JIANG Q Y, LIU W J, et al. Effect of laser fluence on the cleaning quality and surface properties of TA15 titanium alloy surface paint layer[J]. Optics & Laser Technology, 2025, 181: 112032. doi: 10.1016/j.optlastec.2024.112032
    [8] 李晨毓, 胡文哲, 张雪雁, 等. 双波长纳秒激光清洗技术在大理石文物上的应用[J]. 中国光学(中英文), 2024, 17(5): 1050-1059. doi: 10.37188/CO.2024-0002

    LI CH Y, HU W ZH, ZHANG X Y, et al. Application of dual-wavelength nanosecond laser cleaning technology on stone artifacts[J]. Chinese Optics, 2024, 17(5): 1050-1059. (in Chinese). doi: 10.37188/CO.2024-0002
    [9] ZHU G D, XU ZH H, JIN Y, et al. Mechanism and application of laser cleaning: a review[J]. Optics and Lasers in Engineering, 2022, 157: 107130. doi: 10.1016/j.optlaseng.2022.107130
    [10] 杨金芳, 何涛涛, 安浦瑞, 等. 激光清洗技术在芯片封装模具中的应用[J]. 中国光学(中英文), 2026, 19(1): 49-59.

    YANG J F, HE T T, AN P R, et al. Application of laser cleaning technology in chip packaging molds[J]. Chinese Optics, 2026, 19(1): 49-59. (in Chinese).
    [11] 宋峰, 陈铭军, 陈晅, 等. 激光清洗研究综述(特邀)[J]. 红外与激光工程, 2023, 52(2): 20220835. doi: 10.3788/IRLA20220835

    SONG F, CHEN M J, CHEN X, et al. Review of laser cleaning technology (invited)[J]. Infrared and Laser Engineering, 2023, 52(2): 20220835. (in Chinese). doi: 10.3788/IRLA20220835
    [12] 贾宝申, 唐洪平, 苏春洲, 等. 脉冲激光去除树脂基复合材料表面涂层[J]. 中国激光, 2019, 46(12): 1202010. doi: 10.3788/CJL201946.1202010

    JIA B SH, TANG H P, SU CH ZH, et al. Removal of surface coating of resin matrix composites by pulsed laser[J]. Chinese Journal of Lasers, 2019, 46(12): 1202010. (in Chinese). doi: 10.3788/CJL201946.1202010
    [13] LIU H X, PAN W F, CHEN X, et al. Wet laser cleaning of paint layers from the surface of a carbon fibre reinforced polymer (CFRP)[J]. Lasers in Engineering, 2023, 56(1-3): 209-224.
    [14] WANG J, YANG Y L, QI J Y, et al. Thermodynamic simulation, surface morphology and bending property of carbon fiber reinforced polymer composite material subjected to laser cleaning[J]. Optics & Laser Technology, 2022, 152: 108099. doi: 10.1016/j.optlastec.2022.108099
    [15] XIN M L, LI SH, GU J Y, et al. Non-destructive UV femtosecond laser cleaning of primer on CFRP surface[J]. Optics & Laser Technology, 2025, 191: 113382. doi: 10.1016/j.optlastec.2025.113382
    [16] ZHAO Z J, LIU X, YANG J X, et al. Shape evolution and characteristics of carbon fiber reinforced polymer surface in laser ablation[J]. Vacuum, 2023, 217: 112572. doi: 10.1016/j.vacuum.2023.112572
    [17] GU J Y, SU X, LI W Q, et al. Process and mechanism of paint stripping on CFRP by UV nanosecond laser[J]. Optics & Laser Technology, 2024, 171: 110461. doi: 10.1016/j.optlastec.2023.110461
    [18] 王伟, 王蔚, 姚天昊, 等. 激光去除碳纤维复合材料表面树脂工艺试验及胶接性能研究[J]. 红外与激光工程, 2025, 54(6): 20240556. doi: 10.3788/IRLA20240556

    WANG W, WANG W, YAO T H, et al. Experimental study on laser removal of surface resin in carbon fiber composites and adhesive bonding performance[J]. Infrared and Laser Engineering, 2025, 54(6): 20240556. (in Chinese). doi: 10.3788/IRLA20240556
    [19] HOU Y Z, BAI J X, WANG F, et al. Performance and mechanisms of ultraviolet laser ablation of plain-woven CFRP composites[J]. Composite Structures, 2024, 328: 117744. doi: 10.1016/j.compstruct.2023.117744
    [20] WANG P, ZHANG ZH, HAO B, et al. Investigation on heat transfer and ablation mechanism of CFRP by different laser scanning directions[J]. Composites Part B: Engineering, 2023, 262: 110827. doi: 10.1016/j.compositesb.2023.110827
    [21] ZHANG X H, CHEN X X, CHEN T, et al. Influence of pulse energy and defocus amount on the mechanism and surface characteristics of femtosecond laser polishing of SiC ceramics[J]. Micromachines, 2022, 13(7): 1118. doi: 10.3390/mi13071118
    [22] ZHENG ZH, WANG CH F, HUANG G, et al. Effect of defocused nanosecond laser paint removal on mild steel substrate in ambient atmosphere[J]. Materials, 2021, 14(20): 5969. doi: 10.3390/ma14205969
    [23] ZHANG T G, LIU T X, BAN G Y, et al. Effect of scanning speed on laser cleaning of composite paint layer on aluminum alloy[J]. Optics & Laser Technology, 2024, 171: 110470. doi: 10.1016/j.optlastec.2023.110470
    [24] ZHANG D H, XU J, LI ZH CH, et al. Removal mechanism of blue paint on aluminum alloy substrate during surface cleaning using nanosecond pulsed laser[J]. Optics & Laser Technology, 2022, 149: 107882. doi: 10.1016/j.optlastec.2022.107882
    [25] LI Y H, LI J Y, ZHANG W, et al. Application of pulsed laser ablation thermal model in nanosecond pulsed laser removal of the epoxy resin paint film[J]. Optics & Laser Technology, 2024, 175: 110806. doi: 10.1016/j.optlastec.2024.110806
    [26] XU L Y, LU J R, LI K M, et al. Removal mechanism of CFRP by laser multi direction interaction[J]. Optics & Laser Technology, 2021, 143: 107281. doi: 10.1016/j.optlastec.2021.107281
    [27] TENG ZH, LI Z H, YANG W F, et al. The effect of laser scanning direction on the bonding properties of unidirectional CFRP[J]. Optics & Laser Technology, 2025, 190: 113199. doi: 10.1016/j.optlastec.2025.113199
    [28] RAUH B, KRELING S, KOLB M, et al. UV-laser cleaning and surface characterization of an aerospace carbon fibre reinforced polymer[J]. International Journal of Adhesion and Adhesives, 2018, 82: 50-59. doi: 10.1016/j.ijadhadh.2017.12.016
    [29] 王智文, 屈发进, 赵雅文, 等. 氧敏感膜聚合物基质材料对荧光猝灭性能的影响研究[J]. 分析化学, 2023, 51(12): 1907-1914. doi: 10.19756/j.issn.0253-3820.231285

    WANG ZH W, QU F J, ZHAO Y W, et al. Influence of polymer matrix materials for oxygen sensors based on fluorescence quenching by molecular oxygen[J]. Chinese Journal of Analytical Chemistry, 2023, 51(12): 1907-1914. (in Chinese). doi: 10.19756/j.issn.0253-3820.231285
    [30] 刘晨宇, 尹加文, 韩蕴哲, 等. 基于疏水固态接触层的高稳定性铵离子选择电极的制备及性能测试[J]. 分析化学, 2025, 53(5): 774-784.

    LIU CH Y, YIN J W, HAN Y ZH, et al. Preparation and performance test of highly stable ammonium ion selective electrode based on hydrophobic solid contact layer[J]. Chinese Journal of Analytical Chemistry, 2025, 53(5): 774-784. (in Chinese).
    [31] SONG Y P, WANG S J, PAN Y K, et al. Comparative study of infrared nanosecond laser surface paint removal for carbon fiber reinforced polymer and glass fiber reinforced polymer[J]. Journal of Cleaner Production, 2024, 451: 142061. doi: 10.1016/j.jclepro.2024.142061
    [32] JOTHI V, ADESINA A Y, KUMAR A M, et al. Influence of an anodized layer on the adhesion and surface protective performance of organic coatings on AA2024 aerospace Al alloy[J]. Progress in Organic Coatings, 2020, 138: 105396. doi: 10.1016/j.porgcoat.2019.105396
    [33] SEE T L, LIU ZH, CHEETHAM S, et al. Laser abrading of carbon fibre reinforced composite for improving paint adhesion[J]. Applied Physics A, 2014, 117(3): 1045-1054. doi: 10.1007/s00339-014-8527-8
  • 加载中
图(16) / 表(3)
计量
  • 文章访问数:  79
  • HTML全文浏览量:  36
  • PDF下载量:  4
  • 被引次数: 0
出版历程
  • 收稿日期:  2026-01-12
  • 录用日期:  2026-03-10
  • 网络出版日期:  2026-04-21

目录

    /

    返回文章
    返回